NewsNational News

Actions

Hurricane Helene expected to make landfall in US as powerful Category 4 storm

Storm has top sustained winds of 85 mph, but could reach 130 mph by the time it hits the Florida Gulf Coast.
20242692240_GOES16-ABI-FL-01-AL092024-2000x2000.jpg
Posted
and last updated

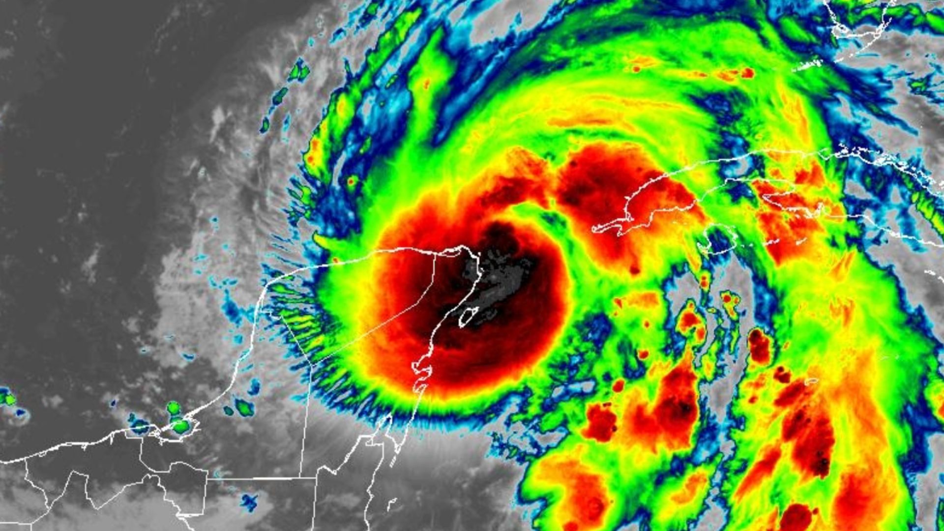
Helene became a hurricane on Wednesday as it neared the coast of Mexico's Yucatan Peninsula, the National Hurricane Center said.

Helene gained hurricane status as it reached top sustained winds of 80 mph Wednesday morning.

The storm was about 425 miles southwest of Tampa, Florida, on Wednesday afternoon, moving north at about 9 miles per hour.

Its fastest sustained winds were 85mph, making it a moderate Category 1 hurricane on Wednesday afternoon. However, the storm is expected to intensify into a major Category 4 storm before it makes landfall somewhere in Florida's Big Bend region later on Thursday.

"As a result, storm surge, wind, and rainfall impacts will extend well away from the center and outside the forecast cone, particularly on the east side," forecasters wrote Wednesday.

Forecasters are suggesting that Florida's Big Bend region will have the worst impacts.

RELATED STORY | Heat can create deadly conditions for athletes, so how are states keeping practices safe?

The NHC is forecasting potentially catastrophic storm surge and hurricane-force winds in the region of landfall."

After landfall, Helene is expected to turn northwestward and slow down over the Tennessee Valley on Friday and Saturday," forecasters wrote.

"Damaging and life-threatening hurricane-force winds, especially in gusts, will penetrate well inland over portions of northern Florida and southern Georgia late Thursday and Thursday night where Hurricane Warnings are in effect. Strong wind gusts are also likely farther north across portions of northern Georgia and the Carolinas, particularly over the higher terrain of the southern Appalachians."

RELATED STORY | Medical professionals are changing their training due to climate change

As of Tuesday, Florida Gov. Ron DeSantis issued a state of emergency for 61 counties. Hundreds of members of the Florida State Guard are ready to respond with search and rescue teams.

Georgia activated 250 National Guard members in anticipation of deployment for storm response. Officials in the state said they expected to see potentially unprecedented power outages and warned residents to be ready for several days without power.

South Carolina Gov. Henry McMaster also declared a state of emergency before the storm arrived, making it easier for local governments to coordinate with federal authorities. The state is expected to avoid the worst of the storm's effects but could still see flooding and tornadoes.

So far in 2024, the Atlantic hurricane season has produced eight named tropical systems, including five hurricanes and one major hurricane. Just two weeks ago, Hurricane Francine came ashore in Louisiana as a Category 2 system.